BEST Inmobiliaria

  • 5522680297
  • best-inmobiliaria.easybroker.com

Terreno en Venta sobre Avenida a Tesistan

Senda del Valle, Zapopan

$39,262,500 For Sale

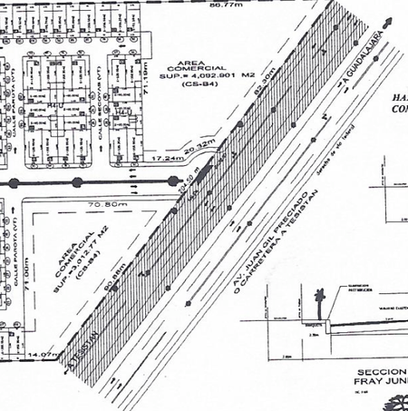
  • 5,235 m² Lot Size
  • 86.77 m Lot Length
  • 173.18 m Lot Width
  • EB-MP6542 ID
Description

Terreno Comercial en Venta - Senda del Valle, Guadalajara

Ubicación:

En ingreso a Senda del Valle, cerca de la carretera a Colotlán.
Esquina con Av. Juan Gil Preciado o Carretera a Tesistán.
Superficie:

5,235 m².
173.18 metros de frente sobre la Avenida.
Uso de Suelo:

Comercial y de Servicios Barrial Intensidad Alta (CS-B4).
Precio:

$7,500 MXN por m².
Precio total: $39,262,500 MXN.
Un terreno comercial con alto potencial en una ubicación estratégica, ¡ideal para tu próximo proyecto!

BEST Inmobiliaria

  • 5522680297
  • best-inmobiliaria.easybroker.com

BEST Inmobiliaria

  • 5522680297
  • best-inmobiliaria.easybroker.com